Cydonia Quest

C

Image Enhancements

C

The "Cliff" : Part Three

C

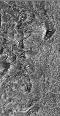
One of the mysteries in the MGS images of Mars is why so many small rifts in the Martian surface have reflective "ribs" arching across or above their floors. In one case to the West of the Cydonian "monuments" Richard Hoagland has even found such ribs in conjunction with "glass" like effects, (click the "stargate" to view this discovery µµµ). Whether or not the "glass" is an optical illusion is still to be determined, but it is a remarkable find none-the-less.

The ground wave from the large impact crater close to the "Cliff" has created many sharp rifts in the ground......and what do we find arching over these rifts? The two pictures below show a sample of these rifts and an enlargement of this sample. The "ribs" do seem to have a cylindrical cross section and in some cases seem to be bridging over the floors of the rifts. If a higher resolution picture was taken it may be possible to ascertain whether there is actually empty space below some of these arched "ribs". The "ribs" seem to run below the surface, only to be exposed by rifting. I have no idea what they actually are, but they don't look very natural.

C

C

C

C

C

C

C

C

C

C

C

µ Return to the Enhancements page